Exercise & Playtime
When you get your puppy, please keep these images in mind.
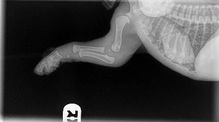
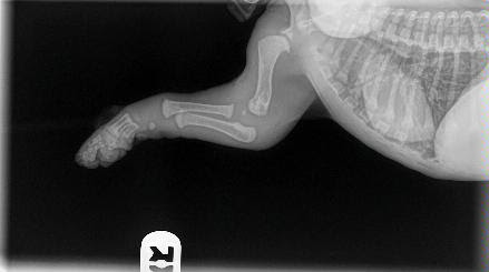
As you can see their bones are not even touching yet. Puppies are so cute when they jump around with their floppy little paws and wobbly legs because their joints are made up of tendons, muscle, and ligaments with skin covering. There is no socket yet and nothing fits tightly.
If they are ran excessively or not restricted in their exercise during their growth period they won’t get to grow properly. Every big jump or excited-bouncing run causes impact between the bones. Following a playtime chart so that playtime/exercise is done within reasonable amounts ensures that fun activities and normal daily activities do not become problematic for growth and development.
When a puppy jumps up and down off the lounge or bed, taken for long walks/hikes, their forming joints are being damaged. Even if a puppy scrambles on a tile excessively with no traction their joints are put at risk.
“You only get the chance to grow them once. A well built body is something that comes from excellent breeding and a great upbringing-BOTH, not just one.”
Once they are grown they will have the rest of their life to spend playing and engaging in higher impact exercise. While they’re still little baby puppies and give the gift that can only be given once.
A bit of back-story: This is a baby puppy who had a knock to his elbow and wasn’t using it properly, so he was taken to the vet. There is nothing wrong in these x-rays, thankfully it is a soft tissue injury and he is expected to be fine.
Activities With Your New Pup
- 5-12 weeks – Your puppy’s activity will be up during this time. They will most likely want to sleep less but won’t be ready for prolonged routine exercise such as walking or running down the block just yet. At this age you should play games that you can do in your home or in your backyard. Tug-of-war, chase and retrieving items are easy and fun activities. They will still need naps and rest so avoid overdoing games/playtime.
- 13 weeks – 6 months – Your puppy will be showing more resilience but keep in mind that their growth plates and ligaments are still tender. During this time they are prone to damage so it is usually best to let them do their own thing. When they turn 6 months you can go up to 30 minutes with leash walking. Or you could have two walks totaling 15 minutes each divided into the day.
- 7 – 10 months – Although your puppy is approaching full growth and can endure longer playtime/exercise be careful not to over do it. Avoid activities that are heavy impact such as jumping or even climbing up large amounts of stairs. Their growth plates could still be going through a developmental stage and over doing it could damage their joints which could result in arthritis down the road. If you live in a climate where swimming is optional this would be a good activity to consider.



You must be logged in to post a comment.